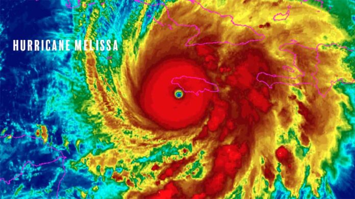
185 mph winds, life-threatening surge and flooding batter island; strongest Jamaica landfall on record
Hurricane Melissa made landfall in Jamaica today (Oct. 28, 2025) as a Category 5, delivering sustained winds near 185 mph (295 km/h) and catastrophic impacts.
The National Hurricane Center reported Melissa coming ashore around 1 p.m. ET with “extremely dangerous” conditions already occurring across the island.
Major outlets and forecasters describe Melissa as one of the strongest Atlantic landfalls on record and the most powerful hurricane to hit Jamaica, with pressures measured near 892 mb by Hurricane Hunters.
Impacts So Far
-
Storm surge: life-threatening, up to 4 m (13 ft) or higher along parts of the coast; localized extremes reported.
-
Rainfall & flooding: torrents triggering flash floods and landslides; hospitals moving patients to higher floors for safety.
-
Power & communications: widespread outages and telecom disruptions; authorities warn of prolonged recovery.
-
Airports & shelters: both international airports closed; 800+ shelters activated as evacuations ordered in high-risk zones.
Early reports cite fatalities across the region as the outer bands impacted Haiti and the Dominican Republic before landfall.
Track & What’s Next
Forecast guidance puts eastern Cuba in the crosshairs next, with dangerous wind, surge, and flooding risks extending into the Turks & Caicos and the Bahamas. Tropical alerts have been expanded as the core shifts north-northeast.
Why Melissa Exploded in Strength
Meteorologists point to exceptionally warm sea-surface temperatures and a favorable atmospheric setup that fuelled rapid intensification, a trend scientists link to climate change making the strongest storms even stronger.
Thunder Bay & Northwestern Ontario: Why This Matters
-
Travel disruptions: With Jamaica’s airports closed, expect cascading delays/cancellations on routes connecting through Toronto for travellers from Thunder Bay (YQT) headed to the Caribbean. Check with airlines before leaving for the airport.
-
Diaspora & family ties: Many in Northwestern Ontario have relatives in Jamaica—use official channels, text/WhatsApp when possible to reduce network strain.
-
Aid & relief: Monitor appeals from Canadian Red Cross and reputable NGOs; early logistics are staging as conditions allow. (Authorities and IFRC signalled large-scale humanitarian needs.)
Safety Information
If you are in Jamaica, follow local emergency management and NHC advisories and shelter guidance. Avoid floodwaters, and stay off roads until authorities declare them safe.
NetNewsLedger will continue to update this story as new official information and impacts are confirmed.










